Village News

Christmas Lights

PA15/03669 | Reserved Matters Application For The Creation Of New Footpath Through Isis Gardens, Connecting Foundry Square To Th

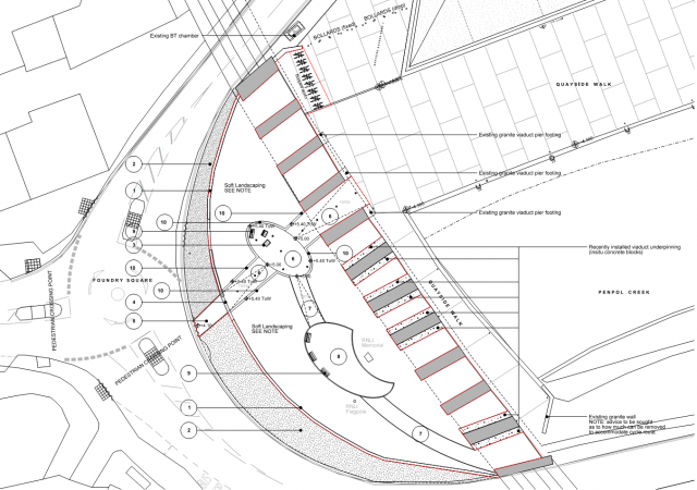
RESERVED MATTERS APPLICATION FOR THE CREATION OF NEW FOOTPATH THROUGH ISIS GARDENS, CONNECTING FOUNDRY SQUARE TO THE PUBLIC REALM AND DEVELOPMENT ON SOUTH QUAY. SOUTH QUAY, HAYLE - South Quay Hayle Cornwall

Ref. No: PA15/03669 | Received date: Mon 20 Apr 2015 | Status: Pending Decision | Case Type: Planning Application

Reference PA15/03669
Alternative Reference N/A
Application Received Mon 20 Apr 2015
Application Validated Wed 29 Apr 2015
Address South Quay Hayle Cornwall
Proposal RESERVED MATTERS APPLICATION FOR THE LANDSCAPING OF AND CREATION OF NEW FOOTPATH THROUGH ISIS GARDENS, CONNECTING FOUNDRY SQUARE TO THE PUBLIC REALM AND DEVELOPMENT ON SOUTH QUAY. SOUTH QUAY, HAYLE
Status Awaiting decision
Appeal Status Unknown
Appeal Decision Not Applicable

There is 1 case associated with this application.

There are 2 properties associated with this application.

Case Number :PA15/03669

 APPLICATION FORM
 Name or DetailReceived Date
 20/04/2015
 CORRESPONDENCE IN
 Name or DetailReceived Date
Matt Williams20/04/2015
Hayle TC22/07/2015
Extension of time letter02/09/2015
Ben Wiliamson09/02/2016
Matt Williams09/02/2016
Matt Williams09/02/2016
 PLAN - PROPOSED
 Name or DetailReceived Date
1687/L/7050 P520/04/2015
1687/L/7052 P320/04/2015
Revised plans17/03/2016
 PLAN - SITE LOCATION
 Name or DetailReceived Date
1687/L/101020/04/2015
 REPRESENTATIONS RECEIVED - 4 YEAR DISPOSAL
 Name or DetailReceived Date
Environment Agency Response06/05/2015
SWW08/05/2015
HE20/05/2015
 STATEMENT - DESIGN AND ACCESS
 Name or DetailReceived Date
Design and Access Statement (part 1 of 2)20/04/2015
Design and Access Statement (part 2 of 2)20/04/2015

 

PA15/03669 | Reserved Matters Application For The Creation Of New Footpath Through Isis Gardens, Connecting Foundry Square To Th
Revised Plan 17 Mar 2016

Book page

TitleCreated
2026-EXTENDED-17th April 2026 to 22nd April- Resurfacing Steamers Hill; Hatchs Hill; Angarrack Lane | 1 Apr 07:30 - 17 Apr 23:59 1 week 6 days agoBook page
2026-April-POSTPONED-planned improvements i.e. install footpath, paint double yellow lines junction Grist Lane Hatchs Hill 2 weeks 2 days agoBook page
2026 - Resurfacing Steamers Hill; Hatchs Hill; Angarrack Lane | 1 Apr 07:30 - 17 Apr 23:59 4 weeks 8 hours agoBook page
250330; Closure order:30 Mar-17 Apr 2026; 07:30-17:00; Clearway Parking Zone; Hatchs Hill, Steamers Hill and Angarrack Lane 5 weeks 2 days agoBook page
Traffic/Roads - Marsh/Grist Lane - Traffic counts 2019 onwards 16 weeks 6 days agoBook page
Approved with conditions | PA25/07094 | First floor extension over existing garage to create Art studio with guest bedroom... 21 weeks 2 days agoBook page
PA25/07094 | First floor extension over existing garage to create Art studio with guest bedroom, covered parking area below | As 22 weeks 1 day agoBook page
251027 | 20mph Monitoring—Hayle & St Ives Speed Data; Phase 3a-May-Jun 24 v Sep-Oct 24; Steamers Hill; Gwinear;Carbis;Nancledra 26 weeks 20 hours agoBook page
PA25/07184 | Retention of 4no. existing holiday pods, swimming pool, incidental building, extended driveway and annexe converted 26 weeks 4 days agoBook page
251009 | Stark reality of life in Cornwall revealed through 2025 Vital Signs Report 28 weeks 4 days agoBook page
251010 | Cornwall backs 20mph rollout; St Austell's the only town to reject the plans 28 weeks 5 days agoBook page
250930 | Cornwall’s 20 mph speed limits have made the roads much safer 30 weeks 1 day agoBook page