Village News

Christmas Lights

ING

ING Real Estate - developer behind Hayle Harbour redevelopment

190129 | PA18/04577 | Response to heritage, highways, SWCPA(coastal footpath), Police | Letter from Agent

29 January 2019

 

Dear Peter,

RE: HAYLE HARBOUR Application for the approval of

Reserved Matters for a first phase of development at North

Quay (Ref: PA18/04577)

Following a lengthy consultation period on the above application and
further to the comments which were received on 10" January 2019
collectively from the key heritage consultees (World Heritage Site
team, Historic England and CC’s conservation officer), we write to
set out our response to the comments in the form of focused
amendments to the scheme, as agreed.

Alongside revised architectural and landscape drawings, the
following reports are submitted:  read more »

180515 | PA18/04552 | Submission of details for partial discharge of condition 3 in respect of Decision Notice PA13/01370 dated

Condition 3, which required a Development Brief for each Development Area within the Outline premissoin.

.  read more »

170725 | Dave on Twitter: "Crazy that the biggest ship built in #cornwall #SSRamleh at 3,800 tonnes was built in #hayle in 1890

Crazy that the biggest ship built in #cornwall #SSRamleh at 3,800 tonnes was built in #hayle in 1890

From Twitter https://twitter.com/surfhog/status/879072343192219648

SennyBridge and associated companies

Corinthian Land Ltd

Via http://www.corinthianland.co.uk/

Corinthian Land Ltd is a strategic land management company with a growing reputation within the development industry. With a collective experience of over 90 years within the sector the management team have shown a consistent ability to take every project to a successful conclusion.

We work with both landowners and investors to achieve the desired outcomes, utilising both our internal expertise and a network of tried and trusted partners to ensure success.  read more »

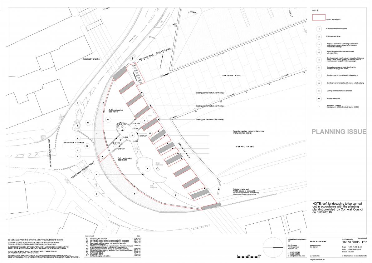
2015 February | Hayle Harbour :: New Scheme to Replace Original Consented Scheme


New Scheme to Replace Original Consented Scheme

If successful, the new plans for South Quay will replace the original consented scheme for South Quay which was passed in 2008.

The original scheme which was approved by Penwith, allows for up to 260 Houses and flats covering nearly all the Quay.  read more »

140106 | Submission of details to discharge conditions 33, 34 and 36 and 37 in respect of decision notice PA13/01370 | Hayle Har

Discharge of condition (?37?) - not acceptable

Via http://planning.cornwall.gov.uk:8181/rpp/index.asp?caseref=PA14/10524

http://planning.cornwall.gov.uk:8181/rpp/showimage.asp?j=PA14/10524&inde... [Please note passed through an OCR so please check original]

Mr J Budd
SPC
2 Mount Street
Manchester
M2 5WQ

Your ref: JRB/14351
My ref:   PA14/10524
Date:      6 January 2015

Dear Sir/Madam  read more »

Add to calendar
Syndicate content